世纪气象云

 找回密码
 注册

QQ登录

只需一步,快速开始

查看: 18813|回复: 14
收起左侧

[回顾分析] 9107号台风艾美(AMY)纪实

[复制链接]
发表于 2008-3-3 23:20 | 显示全部楼层 |阅读模式

传说汕头妈屿岛放鸡山上有一只鸡得道成了凤凰,每三年,它在汕头的出海口拍拍翅膀,汕头也就有了台风,而经济也从此腾飞。
那年人们欢天喜地的筹备庆祝汕头经济特区设立10周年,凤凰当然没忘记送来一份特大贺礼——建国后登陆汕头最强的台风:9107 艾美(AMY)。

评分

2

查看全部评分

 楼主| 发表于 2008-3-3 23:21 | 显示全部楼层
一、圣婴重生


1991年是太阳黑子第22周峰年后的第2年,即M+2年,太阳活动仍异常活跃,年平均黑子数高达145。

自1990年夏季以来,赤道东太平洋(0-10°S,80-90°W)海面温度持续偏高,到1991年5月,圣婴终于在90年代获得第一次重生。当年11月份厄尔尼诺进入强盛期(平均海温距平≥1.0℃),12月份达到本次厄尔尼诺的峰值(1.5℃)。这次厄尔尼诺的盛期持续了7个月,是近40年中仅次于1982-1983(9个月)和1986-1987(8个月)年的强厄尔尼诺事件。

1991年进入暖季时,西风带双阻十分稳定,西阻乌山阻高在5月18-7月13日57天,竟然存在45天,东阻鄂海阻高存在26天,导致西风分支,贝湖低槽维持。

在太阳黑子活跃期,副高持续偏强,1991年副高的第一次北跳出现在5月第6候,比常年提早约3个候,初夏位置偏北。

但在西风带活跃的打击之下,盛夏位置转为偏南,第二次北跳过25°N的时间在7月第四候,比常年推迟1-2候。特别是从5月第6候到7月第3候,脊线位置一直稳定维持在19-24°N之间,造成主雨带一直徘徊于长江至淮河流域一带。

每次乌山阻高的重建,都使冷空气狂奔南下,3次重建,使江淮形成3次梅雨集中期,这就是著名的91淮河特大洪水。

1991年5-8月副高面积指数和强度指数除8月偏弱外,其余3个月均明显偏强。西伸脊点的位置5-7月比常年偏西。我国于4月27日即出现初台9103号 (VANESSA,由于未算登陆,NCC未将其列入最早的初台)。

强势的圣婴,使1991年成为气象爱好者们非常熟悉的一年,除淮河特大洪水之外,广东90-91秋冬春连旱、91孟湾140KT的旋风、广东强寒潮等等都在这一年发生,菲律宾皮纳图博火山也在这一年爆发,地球似乎没打算放过任何角落。
 楼主| 发表于 2008-3-3 23:28 | 显示全部楼层
二、妈祖的心思


7月13日,9106号台风ZEKE在万宁登陆,其系统西移切断了西南季风的水汽输送,促进副高、西风急流北跳,结束了91江淮梅雨。

就在9106登陆前的一天,11.2N,146.7E,一个扰动静静的发展着,环境并没有给他什么机会,他一路西北西移动着,24小时过去了,强度不只没有大的提升,而且在红外云图上,不留意看根本不知有扰动在发展。人们的视线被横扫万宁的9106吸引过去了,谁也不会留意这个不起眼的角色。9106 刚刚卷走了西太的能源,辐合带也随着跨赤道气流的减弱而进入低潮,一个小小扰动又能成何气候?

就这样默默逝去吗?既然诞生了,太多的疑问绝对没有意义,艾美只知道争取,这是生命的意义,也是生命的使命,是地球生生不息的根源,尽管那只是一个无法解开的轮回。

随着跨赤道气流的加强,艾美的结构有了一定的好转,联合在14日10Z,发出第一次热带气旋形成警告——TCFA。

同时,在台湾的东南部,一个由高空冷涡生成的热带低压也获得了发展,15日凌晨,两个低压更是获得了相当不错的发展,螺旋性都明显加强,双飞的梦境,隐约于西太那貌似幸福的温暖中。

10_3106_b2a3015623077b8.jpg



副高总是以他无法抗拒的庞大,左右着这些目空一切,却又幼小无知的精灵。虽然几天后9108,9109相继形成,但只是未来的辉煌。在15日06-12UTC,短短6个小时的副高西伸南扩中,汹涌的环境,唤醒了这两个如痴如醉的两个娃儿——此时此地,一切的美丽,都将灰飞烟灭。

相濡以沫,相呴以湿,不如相忘于江湖。冷涡毅然将环流留给了艾美,携着空荡的身躯,远离于迷惘的夜幕之中,梦幻不再。

16日的凌晨,AMY带着冷涡的环流,在副高的加强,夜晚直减率的增大的环境下,中心飞速整合,或许是上天预见了未来的震撼,跨赤道气流也再度加强,半夜的时间后,艾美由涣散的环流转为俨然成形的TC形态,15日18UTC,联合再度发出TCFA,并将艾美强度提升为30KT,07W正式形成。

艾美以5KT/6H的速度稳定加强,17日06UTC,成为风速65KT的CAT.1。CWB于17日16时,发出1991年第一份海上台风警报。

匪夷所思的神话,重现于西太一铉冷月的黑夜,麻木的僵尸,彻底打开了CISK机制,艾美增强速度突然提高为15KT/6H,扑向巴士海峡——南海原来只是那么渺小。

17日18UTC,随着洋面的缩小与南亚高压的西退,艾美在菲东进行了一次类眼壁置换的调整,以适应逐步变化的环境。但此过程中,艾美并没放慢增强速度,这是其他TC无论是出现眼壁置换或冷云盖都极为罕见的现象,18日00UTC,联合将艾美从18UTC的90KT提升为105KT——CAT.3,同时,CWB于18日8时,发出海上陆上台风警报,此时AMY距离恒春市575公里。

远方期盼着凯旋的冷涡或许不知,此时艾美已非昔日吕下阿蒙,她只看到艾美如她离去那天,奄奄一息,难道因为自己依然环绕着艾美?

10_3106_95e253fe973b3f9.jpg


冷涡正位于南海东部,跟艾美的外围环流相当接近。一切是多么的快速,以致完全来不及反应——艾美尚未置换完成,冷涡已将所有环流注入艾美,留下风中荡逸飘逝的,是昨日没有约定的诺言。

这个虚无缥缈世界,竟会灭绝庸者仅存的一丝希望?空洞血红的眼睛,让熔岩的烈火瞬间失去颜色,沉重呼啸的凄厉,使大地的颤栗已经毫无意义——毁灭成为唯一的信念,艾美永远不懂犹豫。

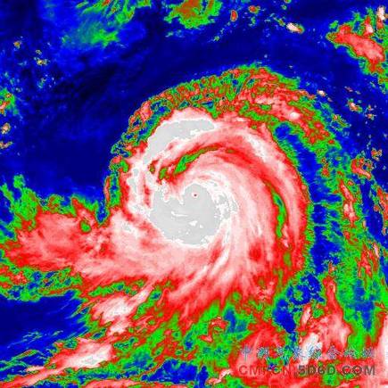
18日06UTC,艾美疯狂的辐散迸发,红外眼区形成,联合升级为115KT——CAT.4。

10_3106_9fb312b7780e6c6.jpg

10_3106_3fb77ce2eae1cb6.jpg


风平浪静的汕头海湾,横锁着海神的愁云,妈祖已知回天无力。天后宫淡淡的烟雾在下沉气流中,弥散着多年来从未有过的诡异。傍晚的天空,红得如此的惶恐,似乎竭力渲染着最后一阵绚丽的警示,返光回照中,万籁陷入死寂。
 楼主| 发表于 2008-3-3 23:32 | 显示全部楼层
三、庸者无敌


无法理喻,艾美在18日17时50分擦过台湾,兰屿录得平均风速46.2 M/S,风向NNE;18日18时21分,兰屿气压989.2HPA时,竟录得72M/S,风向NNE的极大风速。

巴士海峡外凶猛的气流,竟将柏努利的灵魂唤醒于南海,18日12UTC,艾美增强为125KT,并突然加速,以每小时35公里以上的速度,直趋粤东,各机构至今难以解释AMY的哪里来的能量?

挨过一夜的闷热,一大早起来打开收音机,马上传来了十分耳熟的台风紧急警报旋律,播音员接着报道:“今年第七号台风,中心风速60米每秒,相当于风力12级以上”——一个令人目瞪口呆的“12级以上”,粤东从来没有人在收音机的台风警报听报过这个风速!

天气时阴时晴,偶尔飘一点雨,父母亲、外婆和周围的长辈们,都说天色很像“7.28”,那只是暴风雨前的平静——正似艾美已经看不出半点表情的冷淡。

早餐一吃完,父亲马上就做起了防台准备。天台上的西番莲挂果累累,当然最舍不得,父亲花了最少两小时的时间,把天台的竹架绑个结结实实,或许能让西番莲避过一劫?再将天台上的兰花密密麻麻的搬在一起,以防吹倒。邻居那边天台也种了不少花,一样在天台上忙了一个上午。

接近中午的时候起风了,汕头电台半小时一报,风速减弱为50M/S,但天色越发难看,天空已经飞舞着一些东西了,看样子说不定会在汕头登陆。路边绿化带的小树刚刚长成,父亲把自家门口的四棵小树用绳子固定一下,寄望多少能抵抗艾美的魔灭。

下午2时左右,风速突然加强,我从3楼楼梯南边的八角艺术窗望出去,满天铁皮、沥青、纸片和垃圾,飞得比三楼房还高得多,毕竟第一次见到这么猛烈的台风,索性在楼梯坐下来看。

3时许,风声鬼哭神号,雨都是横着刷过。天台上一声巨响——估计竹架出事了,院子里一声巨响——几十年树龄,7-8米高,韧性极好的番石榴树,半边树干居然被艾美硬生生劈了下来。路边的小树全部贴地,家门口两棵晃了几晃断掉了,树枝马上不知被带到哪里去。邻居一个铁屋顶,整个被吹到路上,幸好没人。

淡淡的怪味已经充满整个空间,在艾美眼中,不费吹灰之力足以把世界夷为平地,声音再也无法分辩东西南北,晃如天崩地裂。天台的门有些顶不住了,父亲用钢丝将拉手和楼梯绑死,楼梯间摇摇欲坠,父亲叫我不要坐在楼梯,赶快离开。

4时多,风突然停了下来,静寂得让人心慌,大人们按耐不住神色的紧张——很快会“拗横南”了。父亲上天台看看竹架,发现除了因为绑紧没飞走以外,整个都塌了,也就赶快下楼。并用木条和塑料膜把楼梯间的八角窗封死。

约15分钟之后,风向转向加强,阵风没之前的密度,但却强悍得多。邻居大喊“门楼亭”大门要塌啦(四合院的大门),赶快来帮忙。七手八脚搬了五六根大木头,硬是把大门顶住。刚进屋,一阵烈风,八角窗钉上去的木架整个被扯了出来,接下来几阵鬼叫,竟把1、2楼向南窗户的玻璃扫落两块...



10_3106_42214b7699cfaa0.jpg


自始至终,艾美的路径都是沿着副高西南侧几乎笔直的西北西移动,时值7月中旬,西太也没提供给艾美太于华丽装饰。但就是这样一个其貌不扬的TC,成为汕头建国以来最强的台风,官方资料记录,AMY登陆时中心附近最大风速40米/秒,官方实测极大风速52,9米/秒,超过1969年7月28日登陆汕头的6903号台风(阵风52.1米/秒),实测最低气压950.2百帕。JTWC将AMY登陆前的风速,定为105KT,即CAT.3。

幸运的是在初八登陆,并没碰上天文大潮,但巴士海峡、南海、台湾省以东、台湾海峡依然被AMY掀起最高12米的巨浪(22°30′N、118°42′E,1991年7月19日08时),国家列为二级风暴浪灾害。

官方记载,1991年7月19日下午,20年来最强的9107号台风,狂袭以汕头市为中心、直径数百km内的东南沿海城乡,数小时之间,夺走了上百人的生命,伤近五千人,刮走了23亿元财产。市内霓虹灯、广告牌几乎洗劫一空。
受台风影响,广东东部和福建沿海出现8—10级大风,部分地区风力达11——12级,其中广东有8个县区风力超过12级。与此同时,广东、广西、福建南部还普降大雨到暴雨,局部降特大暴雨。其中,19日下午至20日上午,广东丰顺降雨量达276毫米,县城顿成泽国,低洼处水深2米。

   由于台风来势猛,风雨强度大,台风所经之处,房毁屋塌,损失严重。广东澄海县蓬上镇永新电筒厂内新建的电珠车间和400平方米的金属结构房顶,被狂风卷起,越过一座7米高的房屋,落到50米远的地方,变成一堆废铁;汕头市区一株两人合抱不拢的百年木棉古树,被强风连根拔起;行驶在马路上的大型集装车被大风吹翻;揭阳至汕头的220千伏输电线65号基塔被刮倒;汕头及厦门机场一度关闭,白云机场—些航班被取消。据不完全统计,广东全省有39个县市受灾,受淹、倒伏农作物305万亩,倒断甘蔗20多万亩,110万亩柑桔、香蕉、柚果等折枝落果严重,倒塌房屋6万多间,损坏房屋33万多间倒塌茅舍8万多间,死亡101人,伤5000多人,一大批公路、桥梁和水利、通讯设施遭到破坏。福建省有20个县市不同程度受灾,倒损房屋近3万间,损毁船只150多艘,受灾农作物126万亩,交通、水利、通讯设施亦受到破坏。
 楼主| 发表于 2008-3-3 23:32 | 显示全部楼层
四、逝去的叮咛


那是个经济飞速发展的年代,也从那时起,被台风破坏的绿化带再也没人补种。甚至本地一些上百年的古树,在老百姓的精心保护下,从1922年的8.2风灾到9107依然屹立不倒,却在后来不知所谓的旧城区改造中倒下,或不知所踪。

艾美过去16年了,人类也为自己挖掘了16年的坟墓,全球暖化,热岛效应日趋明显,不知烈日炎炎之下,有多少人怀念那绿荫苍苍、清流涓涓的岁月?

前无古人,后无来者,天地间震荡着恒古不变的叮咛:

——天作孽  犹可违  自作孽  不可活 ~~
 楼主| 发表于 2008-3-3 23:33 | 显示全部楼层
附录一

1.CWB的艾美资料:

http://rdc28.cwb.gov.tw/data.php ... 艾美&e_name=AMY


2.JTWC 的发报

TYPHOON AMY (07W)
WRN BEST TRACK

DTG    NO.   LAT   LOGN  WIND
91071518   1     14.6N   134.5E   30
91071518   1     14.6N   134.5E   30
91071600   2    15.4N   133.7E   35
91071606   3     16.2N   132.9E   40
91071612   4     16.9N   131.9E   45
91071618   5     17.3N   130.7E   55
91071700   6     17.6N   129.6E   60
91071706   7     17.9N   128.5E   65
91071712   8     18.3N   127.4E   75
91071718   9     18.7N   126.3E   90
91071800   10   19.3N   125.lE   105
91071806   11    19.8N   123.8E  115
91071812   12    20.5N  122.4E  125
91071818   13    21.4N   120.8E  125
91071900   14    22.3N   119.OE  120
91071906   15    23.ON  117.4E   105
91071912   16    23.6N   116.OE   75
91071918   17     24.lN   114.8E   45
91072000   18     24.6N   113.6E   35
 楼主| 发表于 2008-3-3 23:33 | 显示全部楼层
附录二


搏击狂飙——9107号台风气象服务纪实

气象报 1991-9-2 0:0:0


狂——飙!

当这两个方块字组合在一起,便是惊心动魄的灾难。
   
1991年7月19日下午,20年来最强的台风——9107号台风,狂袭粤东闽南。以汕头市为中心,直径数百公里内的东南沿海城乡,顿时百孔千疮。狂飙祭铁板为大刀,化玻璃为疾箭,放屋盖为“风筝”,催墙垣如拉朽。数小时之间,夺走上百人的生命,伤近5千人,刮走了23个亿。
   
行驶中的七吨大卡车,瞬间倾翻。几十年大树,被连根拔起。数万间大小房屋,成排倒塌。一时间,风狂雨骤、飞沙走石、天昏地暗,人的哭喊声,树木折断声、房屋的倒塌声,玻璃的碎裂声、飞物的
撞击声,与狂飙咆哮连成一片……

然而,狂飙再疯狂暴戾,却始终没有撼动这样一座铁塔。

因为,这座巨人般的钢铁之塔上,高擎着越是雨骤风狂越是行动迅疾,越是风云变幻越是直指风向的风杯!

“特高课”在行动

7月,福建褥热如磐,非但汛期无汛,而且发生了严重的旱灾。数百万双焦急的目光,一齐投向了气象部门。省、市、县的领导们,不时探问雨的消息,风的来期。

其实,八闽“管天人”比谁都焦急,他们通过气象卫星、天气雷达等现代化装置,实行立体监测,密切注视风云的蛛丝马迹。这支在去年六、七个台风袭击中经受了磨炼和考验,并为抗台救灾做出重大贡献,被妮称为“台风特高课”的队伍,正磨拳擦掌,随时准备投入新的战斗。

7月14日,在福建“台风特高课”总部——省气象台会商室的卫星云图上,他们发现了一个低压在西太平洋产生。
   
“台风特高课”的眼睛瞪大了。

7月16日下午,国家气象中心为这个低压正式编号,向全国发布台风消息。

没有命令和指示,人们却不约而同地集合在值班室。这是一支训练有素的队伍,他们心里明白:台风就是命令!

7月17日,省气象台向省委、省政府领导报告了强热带风暴情况,并于中午12时向全省发布消息。

台风消息,立即引起了省委、省政府的高度重视。

7月18日早上,一上班,福建省委秘书长赵学敏就打电话到省气象台,要求立即前去汇报。
   
省委副书记袁启彤,省委常委、省纪委书记林开钦、省委常委赵学敏和省政府秘书长陈营官,以及福建日报、广播电台、电视台记者已静候在环形会议桌前。

气象台台长陈瑞闪手指天气图,用带有浓重莆仙口音的普通话大声强调:“台风北可厦门,南可惠东。这次台风移速快,强度强、范围广、破坏力大,即使在汕头登陆,闽南沿海仍有12级以上大风,丝毫不能麻痹、放松!”

听完汇报,袁启彤当即宣布:全省气象系统要进入紧急战斗状态,24小时值班。每小时向省委、省政府和省防汛指挥部报告一次。各地市、县要紧急动员,各就各位,24小时守班。发动群众,抗御特大台风,抢收早稻。

11时正,省防汛指挥部九楼会议室,全省抗台防汛紧急电话会议已准备就绪。赴沪归来的贾庆林省长一下飞机就直奔这里,此刻正坐在桌前擦汗。
   
会议室有限的空间,被三十多号人挤得满满登登。
   
贾庆林、袁启彤、林开钦、赵学敏、陈明义、陈营官等省委、省政府领导以及有关厅局负责人和各大新闻单位记者们,顾不得闷热,都在聚精会神地倾听陈瑞闪的讲解和汇报。强烈的灯光打在他顶发稀疏的头颅上,摄像机镜头正对着他。
   
听完汇报,贾庆林省长拿起话筒,表情严肃、声音宏亮地发表讲话,要求各级领导克服麻痹思想,紧急发动群众,抢时间、争速度,尽可能减少损失,夺取抗台胜利!
   
袁启彤副书记大声说:“气象部门是情报部,最重要。情报要尽可能准确。又一次艰巨的战斗考验来到了!”
   
一场全民动员的抗台防灾战斗在八闽大地打响了!袁启彤副书记在会议结束后,立即奔赴台风最前线——漳州,与沿海人民并肩作战。

中午,阵阵南风驱赶着大块密集的浓积云侵入福州天际,很快占领半边天。9107号台风浩大的阴谋,正肆无忌惮又紧锣密鼓地在天弯上实施!
   
气氛越来越紧张。会商室,打电话的、收数据的、填表描图的、操纵计算机的,各色人等脸上无不写着“严峻”二字。

沿海台风警报已发出。但台风显然提前登陆。陈瑞闪台长当即下令:发布沿海台风紧急警报,立即打电话向省委、省政府、省防汛指挥部汇报,并迅速通知沿海各气象台站。

晚上7时30分,国家气象局通过国务院机要局向广东、福建省人民政府发出“特急明传电报”!
   
晚上10时,刚做完胆囊切除手术不久的省气象局局长叶榕生在医院再也呆不住了,穿着病号服,跑出医院,一头闯进会商室。同志们清楚地记得,就在去年,他曾带领大家连续闯过6大台风。他干起活来不要命,病魔也很想要他的命,他又凹又瘪的肚腹上已经两次“挨刀”。
   
戴着深度眼镜,他一个人静静走到桌前,看完天气图、台风路径图,转身看卫星云图屏幕,又去看墙上的云图照片和传真图,然后独自坐在木椅上,专注地倾听值班预报员发表天气会商意见。会商意见越来越趋一致。登陆地点在崇武和陆丰之间,汕头、诏安可能性最大。时间在19日上半夜至下半夜,有可能在19日下午。

再发一次全省紧急台风警报!

楼外,天上星辰已被漫天乌云抹得一干二净。乌山顶上,风声飒飒。夜里11时,陈瑞闪再次向省长贾庆林作了汇报。

19日上午9时,国家气象局骆继宾副局长再次签发电文,向广东、福建发来特急明传电报。
   
福州上空乌云翻滚,一场猛烈的暴风雨就要来临!
   
11时10分,一辆满身尘垢的小车冲上乌山山顶,嘎然停下。从车上走下一老一少两人,直奔省气象台预报会商室。
   
同志们抬头一看:“苏副省长来了!”
   
得知7号强台风消息后,苏昌培副省长就从闽东山区屏南县驱车数百公里赶回福州。急于掌握云情、风情、雨情,来不及进省府大楼喘一口气,小车直上乌山……
   
出击

19日下午,林有年副局长带领业务处副处长严光华、省气象台副台长林新彬,跨上面包车,南下急追台风,希望在台风登陆前赶到漳州。
   
18时35分,面包车赶到泉州市气象台。台风已于17时35分抢先在汕头登陆了。
   
子夜,漳州市气象台台长沈维新、副台长刘瑞文告诉记者:在漳州市,7号台风气象预报准确,当地领导非常满意。
   
处于福建南部沿海最前线的东山岛,是7号台风最先奔袭的地方之一。19日下午,风速超过40米/秒的大风举起七、八米高的滔天巨浪一次又一次朝东山岛狂击猛砸,企图一口就把东山岛贪婪吞入腹中。对此,地处东山岛之巅的气象台全体人员早已做好准备。
   
19日下午2时,东山岛风力已达12级以上。副台长吴钦生和另外两个地面测报员,光着膀子,只穿一条裤叉,毅然冲进了风雨中。不能直着走,他们猫腰走,再不行就爬行前进到观测场,取回了完整的观测数据。但整整当了一天“落汤鸡”。
   
患有心脏病的会计连春生,把药带在身上,挑起发电任务。每15分钟,就冒着风雨去给柴油发电机加一次水,几次心脏隐隐作痛,他也顾不得医嘱,倒药就往嘴里塞。他心里只有一个念头,在全县停电之后,柴油机就是全台的心脏;豁出这个心,要保那颗“心”。于是,他从19日上午,一直坚持到晚上。夜里,同志们去看他,见他埋在椅中,大口喘气,话都说不出来。面前切开的西瓜,一口也没吃。
   
预报股长蔡连娃和其他同志一起,又当预报员,又当广播员,又接用户电话。眼睛熬红了,嗓子喊疼了,台风过后,一听说全县损失1千多万元,仅是去年6号台风的六分之一,她和伙伴们都松了一口气。几天来,他们接、打各类电话,就达100多次,其中仅县长江宏兵的来去电话就不下20次。这位通晓气象、关心气象工作的县长,桌上也摆着天气图,随时询问台风位置,点绘在天气图上,作为抗台指挥决策的依据。
   
19日下午6时,县农委主任邱永顺冒着风雨赶到气象台慰问,进门第一句话就说:“你们报得真准!”当他知道全台人员那么辛苦,夜餐只有20元,每人买不起一罐健力宝,只能吃块西瓜时,心里很沉、也很热。第二天,县长答应拨款5干元略表寸心。
   
诏安是福建省最接近汕头的县。19日,全县停电停水。呼啸的狂风把气象站围墙推倒一角,把大门铁栓压弯,把百叶箱盖掀飞。但是,全站人员都坚守在值班室,一天之内就打了100多个电话。服务工程师连能凯从19日上午10时起,骑车就往警报器用户单位跑,风越来越大、雨越下越猛,雨衣不能穿了,干脆脱下。车不能骑了,他就推着走。修完四、五部警报器,已是午后1时多,他一身是水,腹饥人乏,但想起建筑公司还有一部警报器坏了,就又赶去。工地上的工人正在进餐喝酒,见连能凯浑身湿透,不由分辩,递上一大碗啤酒说:“你这么辛苦,我们该敬你一碗!”这一趟风雨行,他又发展了三家警报器用户。

诏安今年共播种6万亩早稻,台风前已收割4万亩,其中1万亩就是台风前一、二天内,全县紧急动员抢收的。县农业局算了一笔帐,一亩早稻350公斤,一万亩就减少损失350万公斤。
   
19日夜,漳州市副市长林殿阁,诏安副县长沈汉溪赶到县城郊外一公里多的县气象站慰问,正看到大家在吃夜餐,稀饭加咸菜,激动地说:“这次抗台抢险,你们功劳最大。”
   
记者从东山、诏安、云霄、漳浦,再到平和、南靖等县,接受采访的县领导、县农委主任,都说了几乎相同的话。
   
激战

7号台风,对汕头市是一场巨大灾难。
   
从饶平、澄海,一直到汕头市区,沿路两旁数万间房屋顶掀墙塌,支离破碎。汕头市内,霓虹灯、广告牌几乎被洗劫一空。农业受灾面积166.73万亩,132座桥梁损坏,6973根电线杆或倾或断,毁坏大小船只1570艘,损失仓粮337.04万公斤,共造成经济损失21亿元。
   
这是1969年7月28日以来最惨重的次浩劫。
   
7号台风,对汕头气象队伍,是次严峻的生死考验。
   
生死考验只能用忘却生死的壮举来应试。
   
汕头气象台站的同志们正是这样应试。
   
7月18日,当广东省气象局发出“死保714雷达”的指示之后,汕头雷达站同志响亮地回答:人在,站在!
   
19日下午,阵风超过55米/秒的台风咆哮着、怒吼着,把雷达站死死围困在山头,并发起一阵强似一阵的疯狂袭击。钢筋水泥的电线杆齐根碎断;站旁部队军车的车头盖被薄纸般掀起,砰然砸在雷达房的大门上;加固雷达天线的八号铁丝,也被扯断。站外树木哀号,整座龙坑山似在震颤。
   
坚守雷达站的6位同志,在55岁的老站长李正华的带领下,却显得异常镇定,毫不慌乱,在雷达站心脏部位——雷达机房,与随时可能发生的险情展开激烈、紧张的搏斗。6毫米厚的铝合金窗茶色玻璃,在狂风中风帆般突鼓进来,随时可能碎裂,他们派专人死死顶住。雨水被强风挤进细小的窗缝,机房严重进水,他们立即拿布擦,再不行脱了衣服擦。高压线缠到一块,供电不能用了,他们几个人合力打开大门,冒着随时有被狂风刮下山去的生命危险,顾不得树叶、飞沙打在身上的疼痛,或匍伏前行、或爬行而进,到油机房发电,并每隔半小时巡视检查一次。电话打不通,就通过微波传输信息。在供电、供水、电话全部中断的情况下,他们整整孤守山头24小时。直到19日晚上8点,在餐桌前享受三菜一汤时,才想起应该问问家中老幼的安危。

7号台风期间,雷达站共开机14次,累计时间630分钟,其中最长的一次,连续开机205分钟;柴油机发电3次,长达655分钟;拍摄台风照片70多张。
   
李正华告诉记者;自1966年建站以来,150多个台风刮过,雷达站每一次都出色完成任务。今天,黄壮茂、李恩赐、张锦成、李文华、宣雨燕等年轻一代,又一次出色完成“死保”714雷达和台风探测任务。
   
临别,他握住记者的手说:“请转告国家气象局领导、邹竞蒙局长,汕头714雷达站在技术、设备、人员素质等各方面都经受住了20多年来最强台风的考验!”
   
在汕头气象台站中,到处可以听到搏击狂飙的动人故事。
   
在汕头基准气候站,记者看到两张纸,完整记录了七号台风登陆时的风速、气压数据,其中最大风速52.9米/秒,最低气压950.2百帕。
   
台风登陆时,办公室的三开窗被连框推倒。值班室也非常紧急,他们用桌子死死顶住大门,保证了气压计、风速仪等的安全。观测时间到了,他们3人一组,戴着摩托车头盔,手拉着手,轮番冲进观测场观测。不能走,就在地上爬。大风中飞旋的铁皮、瓦片,掀飞的屋顶,特别是如箭雨、如飞刀的玻璃片,随时都可致人于死地,或创重伤。但他们顾不得这些,每一次都把观测数据完整地带了回来。黄锦速脚被“飞刀”扎伤,鲜血直流,但决不下火线;谢志弘带病参战,但每一次观测,都争先上前。
   
在汕头探空站,与狂飙的搏击也异常激烈。卢安德、杨钦木、杨宇伟三人,在风狂雨急、利物横飞的情况下,舍身爬出四楼值班室窗外加固玻璃窗,确保探空业务的正常开展和资料的安全。为了保证放球顺利进行,杨永辉、杨钦木、杨宇伟、孟庆波、刘俊旭、张敬昭七人合作,由两人操作雷达,5人合抱、护送探空气球出门升空,一次获得成功。由于全站同志舍身抢险,雷达天线保住了,仪器仓库和制氢药品仓库呆住了,避免损失10万元。

汕头市气象局全体同志,在黄克见等局领导指挥下,通信、预报、服务务等各科室全力以赴,日夜奋战。从19日上午到台风登陆前,通信科四位同志还在市区的穿行,维修用户警报器70多部。李少华为多修一部警报器,误了轮渡。吴田渡口所经理亲自指挥已进港避风的渡船,冒着8级大风,把李少华连车带人送过对岸。

19日下午,为保护卫星接收天线,通信科长李开书和同志们一起在六楼楼顶,与狂风展开了英勇搏斗。一阵狂风刮来,几人力不能抗,天线杆突然朝李开书砸去。李开书奋力用肩抗住,一根铁丝戳伤了他的左眼睑,当场流血、肿起,但价值数千元的天线保住了。
   
类似的事迹,太多太多了!
   
现在,台风过去了。那些动人的事迹,那结惨烈的场面,依然历历在目。
   
我们相信:无论多少狂飙袭击,那座高擎风杯的铁塔,将依旧巍然屹立。

20158

2  陈清郁; 陈荣让; 柯鸿生
 楼主| 发表于 2008-3-3 23:33 | 显示全部楼层
附录三

本地BBS几位网友对9107号台风的回忆:

[作者] 暗示我吧

我印象中最严重的一次台风,莲下老国道(莲阳桥到现莲下镇政府)一带的沥青工场全部夷为平地,我舅父工场也在其中。那时候我还在读小学,不知道是不是楼主说得那一次.

记得当时最离谱居然有人说有的人家整块"榜顶"都被风刮掉.


[作者] 一支魚刺 (卖身葬骨)

印象深刻。

村里损失1人。

二个叔叔,一个婶,一个姑,一个姑丈那天差点在海里回不来。


[作者] 4836323 (㊣)  

那个台风依稀有点记得~~
台风来的时候倒不觉得可怕!
只是吹的家里门,窗疙瘩的作响~~
到处吹掉了很多“帆棚”。。。
进水倒没有这几年严重~(PS:偷笑。以前的水利工程比现在好!)
第二天,四处抓鱼。


[作者] 台风728

那次台风,汕头损失惨重。最有印象是金砂东路一建筑工地的吊塔及脚手架被强风吹断,砸到路过的小汽车。有个叫黄dan秋的GCD party member被砸死,过后被追认为LS.


[作者] 我爱我所爱

我当年参加厂家的防风,早上十时多开始,满天飞玻璃和瓦砾把我逼进厕所,很危
险,当时很多厂房多是竹棚,被翻版了,台风记得关闭窗户,

[作者] 无做年

呜呜呜呜.......
那时我从海边回家.根本不用我用力踩车,风送我回家的,吹得我东歪西倒...能回到家里真是万幸.  


————鸣谢以上网友的支持————
发表于 2008-3-5 04:35 | 显示全部楼层
无奈的经历
发表于 2008-3-7 23:57 | 显示全部楼层
自上次后,又看了几遍。

CMFCN君对“艾美”的生命、思想描述是极端正确和准确的,绝不是寓言式的。
您需要登录后才可以回帖 登录 | 注册

本版积分规则

Archiver|手机版|世纪气象云 | | | 关于我们

GMT+8, 2025-8-18 13:24 , Processed in 0.024634 second(s), 22 queries .

Powered by Discuz! X3.4

© 2001-2017 Comsenz Inc.

快速回复 返回顶部 返回列表